Descritivo

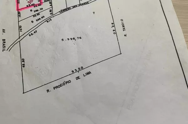
Arcari imóveis vende um terreno COMERCIAL de esquina, entre as ruas: Av. Brasil e Maria Bueno, próx a Rodoviária, e Mercado Center Norte, área de expansão Central - 1 ZC1 - com APROVAÇÃO de até 12 pavimentos. Terreno com 383m2. com a possibilidade de compra de mais 45m2. Anexo ao lado. Totalizando 428m2. - Sendo 19.00m2. de frente para a Av. Brasil, e 20.80m2. de frente para a rua: Maria Bueno, Sobre o mesmo , uma casa grande mista, Agende sua visita conosco. www.arcariimoveis.imb.br / 46- 3225-1769 / 46- 99973-2690 - corretor COLLA - Responsável pela venda.

 Ficha Técnica

Valor Venda: CONSULTE
Casa: TERRENO PARA VENDA NO CENTRO DE PATO BRANCO
Referência:  VEN933
Endereço Principal:   Avenida Brasil , centro, Pato Branco, Paraná

 Fotos


 Contatar

CRECI: 17359

Imóvel sob Encomenda

Descreva o imóvel que você procura e nós avisaremos quando encontrá-lo.

Encomende seu imóvel

Financiamento

As melhores ofertas de crédito para você financiar seu imóvel.

Faça uma simulação

Cadastre seu Imóvel

Anuncie conosco! Nós encontraremos o melhor negócio para você.

Cadastre seu imóvel